Ir para o conteúdo
OVértice Portal
  • Home
  • QUEM SOMOS
  • Amazonas
  • Brasil
  • Mundo
  • Famosos
  • Agenda Cultural
  • Colunistas
  • Idas&Vindas
  • Contate-nos
  • Página inicial
  • Colunistas
  • Mundo
  • Página 3

Categoria: Mundo

Grande Porção de Lixo do Pacífico cria novo ecossistema marinho
  • Mundo

Grande Porção de Lixo do Pacífico cria novo ecossistema marinho

  • OVertice Portal
  • 03/12/2025
  • 0
Lixo contaminou gravemente quase metade dos ambientes aquáticos do mundo
  • Mundo

Lixo contaminou gravemente quase metade dos ambientes aquáticos do mundo

  • OVertice Portal
  • 01/12/2025
  • 0
Terra está se partindo: cientistas registram, pela primeira vez, uma placa tectônica se rompendo sob o oceano
  • Mundo

Terra está se partindo: cientistas registram, pela primeira vez, uma placa tectônica se rompendo sob o oceano

  • OVertice Portal
  • 31/10/2025
  • 0
China manda seu astronauta mais jovem ao espaço
  • Mundo

China manda seu astronauta mais jovem ao espaço

  • OVertice Portal
  • 30/10/2025
  • 0
Crise climática avança mais que medidas de combate, afirma relatório
  • Mundo

Crise climática avança mais que medidas de combate, afirma relatório

  • OVertice Portal
  • 30/10/2025
  • 0
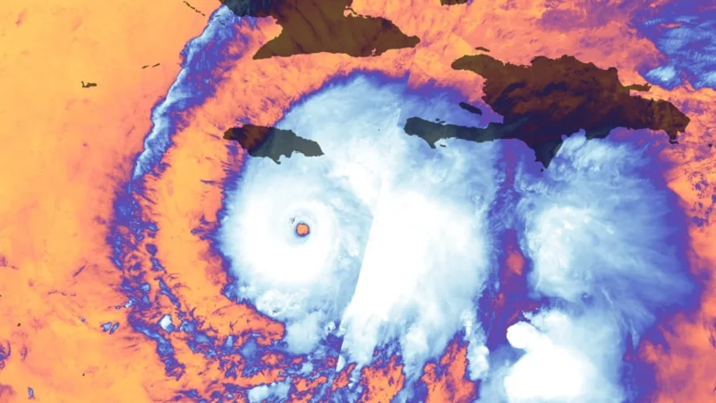
Imagem de satélite mostra furacão Melissa avançando pelo Caribe
  • Mundo

Imagem de satélite mostra furacão Melissa avançando pelo Caribe

  • OVertice Portal
  • 29/10/2025
  • 0
Planeta atinge 1º ponto crítico climático catastrófico e irreversível
  • Mundo

Planeta atinge 1º ponto crítico climático catastrófico e irreversível

  • OVertice Portal
  • 14/10/2025
  • 0
Aluno faz pergunta ao ChatGPT e sai algemado da escola
  • Mundo

Aluno faz pergunta ao ChatGPT e sai algemado da escola

  • OVertice Portal
  • 11/10/2025
  • 0
Uso indiscriminado de IA por bancos pode criar vulnerabilidades, alerta G20
  • Mundo

Uso indiscriminado de IA por bancos pode criar vulnerabilidades, alerta G20

  • OVertice Portal
  • 10/10/2025
  • 0
Teste de Turing: conheça experimento que identifica se IA superou humanos
  • Mundo

Teste de Turing: conheça experimento que identifica se IA superou humanos

  • OVertice Portal
  • 09/10/2025
  • 0

Paginação de posts

Anterior 1 2 3 4 5 … 7 Próximo

Procurar

Siga-nos

  • instagram
  • facebook-alt
QUEM SOMOS

QUEM SOMOS

Toda informação precisa de um vértice. Esteja pronto para conhecer um portal que possui personalidade.

Overtice Portal

Parceiro recomendado

Espaço publicitário

Postagem recente

Blitz do TCE vistoria escolas históricas de Manaus

Blitz do TCE vistoria escolas históricas de Manaus

  • 18/04/2026
Prefeitura de Barreirinha inicia Projeto Waikiru Wará para fortalecer educação indígena inclusiva

Prefeitura de Barreirinha inicia Projeto Waikiru Wará para fortalecer educação indígena inclusiva

  • 18/04/2026
Débora Menezes percorre municípios do interior ao lado de comitiva do PL no Purus e Juruá

Débora Menezes percorre municípios do interior ao lado de comitiva do PL no Purus e Juruá

  • 18/04/2026

Siga-nos

  • instagram

Mais comentados

Blitz do TCE vistoria escolas históricas de Manaus

Blitz do TCE vistoria escolas históricas de Manaus

  • 18/04/2026
Conectados em Uberlândia: A Revolução da Internet de Alta Velocidade

Conectados em Uberlândia: A Revolução da Internet de Alta Velocidade

  • 28/09/2023
Manaus e a Música: Cenário Musical Vibrante

Manaus e a Música: Cenário Musical Vibrante

  • 28/09/2023

Copyrights © 2018. All rights reserved.